枚方市楠葉中町 土地

5,800万円

大阪府枚方市楠葉中町

京阪本線「樟葉」駅徒歩16分

北くずはバス停

価格
5,800万円
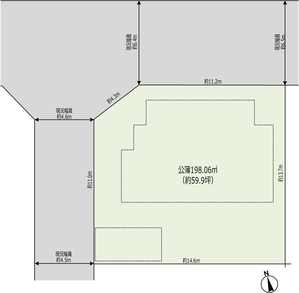
土地面積(坪数)
198.06㎡(59.91坪)
所在地
大阪府枚方市楠葉中町
築年
-(-)
駐車
-
交通

京阪本線樟葉」駅 徒歩16分

「北くずは」バス停下車 徒歩4分

枚方市楠葉中町 土地の基本情報

物件名
枚方市楠葉中町 土地
価格
5,800万円
土地面積
198.06㎡
築年月
-(-)
総区画数
-
所在地
大阪府枚方市楠葉中町
交通

京阪本線樟葉」駅 徒歩16分

「北くずは」バス停下車 徒歩4分

枚方市楠葉中町 土地の詳細情報

設備条件
  • 現地案内会
  • 都市ガス
  • 公営水道
  • 公共下水
  • 電気有
設備(その他)
    -
駐車場/月額
-/-
土地権利
所有権
国土法届出
不要
用途地域
第一種低層住居専用
区画数
- / -
管理形態
-
管理員の勤務形態
-
管理会社
-
取引態様
媒介
現況
古家有
引渡し
相談

枚方市楠葉中町 土地で募集中の物件

  1. - (198.06㎡)

    5,800万円

周辺施設

  • 楠葉中町西公園の画像

    その他

    楠葉中町西公園

    2m(1分)

  • くずはモールの画像

    ショッピングセンター

    くずはモール

    1124m(15分)

  • 枚方市立楠葉中学校の画像

    中学校

    枚方市立楠葉中学校

    1290m(17分)

お問い合わせ先

株式会社日住サービス 千里中央店

営業時間
10:00~18:00
定休日
火曜日 水曜日
住所
〒560-0082
大阪府豊中市新千里東町1丁目1-3 SENRITOよみうり 1F

06-6871-2680